Analýza chovu ČHP v České republice
Vážení majitelé českého horského psa, obracím se na Vás s prosbou o vyplnění krátkého dotazníku, který je určen výhradně pro majitele tohoto plemene. Získaná data budou využita pro zpracování bakalářské práce. Vyplnění dotazníku zabere jen několik minut a Vaše odpovědi budou zcela anonymní. https://docs.google.com/forms/d/e/1FAIpQLSew75n8...
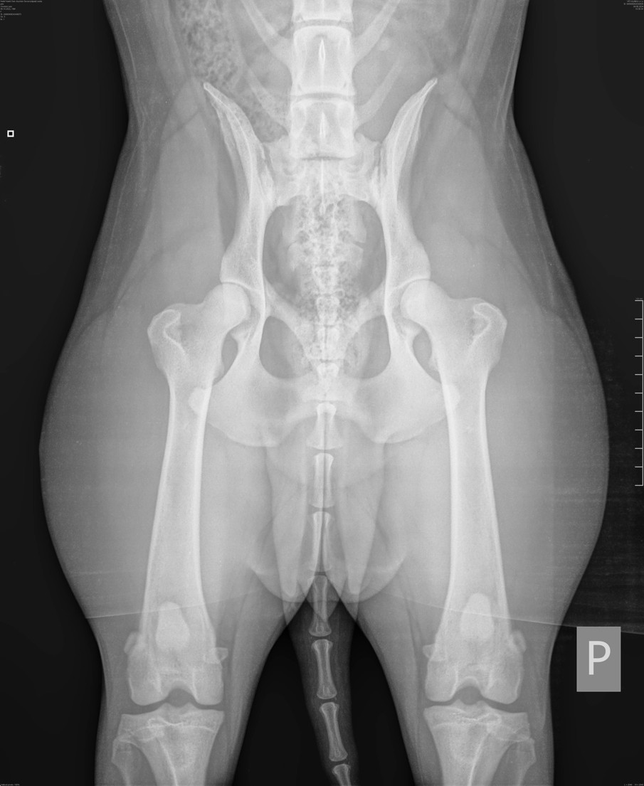
10.11.2025 | - | 287Informace k uchovnění Českhé horského psa
Ráda bych touto cestou připomněla všem majitelům českých horských psů, kteří absolvovali v roce 2025 bonitaci svého psa nebo feny, že je potřeba splnit všechny podmínky zařazení do chovu. V letošním roce proběhly dvě bonitace, kterých se zúčastnilo více než 20 jedinců. Téměř polovina z nich neměla vyšetření DKK (dysplazie kyčelního klou...
7.11.2025 | Sandra Pavlasová | 282Bonitace
27.9.2025 po ukončení klubové výstavy proběhne bonitace. Přihlásit se na bonitaci je možné do 14.9.2025 Přihlašování probíhá - pro členy přes webový systém, v případě, že jste nečlen kontaktujte poradkyni chovu. U bonitace budou členové bonitační komise a paní rozhodčí Mgr. Naděžda Střálková. Bližší informace přihlášeným budou...
25.8.2025 | Sandra Pavlasová | 388Bonitace
17.5.2025 při speciální výstavě proběhne bonitace. Přihlásit se na bonitaci je možné do 4.5.2025 Přihlašování probíhá - pro členy přes webový systém, v případě, že jste nečlen kontaktujte poradkyni chovu. Začátek bonitace bude po skončení speciální výstavy. Budou u ni přítomni členové bonitační komise a paní rozhodč...
29.4.2025 | Sandra Pavlasová | 481Svod chovných psů - poděkování
Ráda bych poděkovala všem, kteří se účastnili historicky prvního svodu chovných psů plemene český horský pes. Celkem se na svodu předvedlo 33 chovných jedinců, což je polovina aktuálně chovných psů. Jsem moc ráda, že si někteří z Vás uvědomují důležitost tohoto kroku. Chtěla bych poděkovat i ostatním účastněným, zejména těm, kteří se mnou v...
28.4.2025 | Sandra Pavlasová | 475Mám zájem o krytí své feny, jak mám postupovat?
V příloze je popsané, jak mají členové i nečlenové klubu žádát o krycí list. Pavlasová Sandra poradkyně chovu klubu Českého horského psa
22.1.2025 | Sandra Pavlasová | 644Svod chovných psů
Vážení majitelé chovných psů (krycích psů) Ráda bych Vás pozvala na svod chovných psů ČHP, který proběhne 29.3.2025 od 10:00 hodin, v autokempu Zbýšov v Čechách. Kemp se nachází 11 km od geografického středu ČR. Tato akce se koná z několika důvodů: 1. Pro uznání ČHP FCI je nutno vytvořit 8 family line (chovných linií), pro tyto linie je...
16.1.2025 | Sandra Pavlasová | 813Informace o zpracování PP
Vážení, předně prosím přijměte přání všeho nejlepšího v novém roce, hlavně hodně zdraví, štěstí a úspěchy v osobním i pracovním životě! Bohužel vám musím sdělit špatnou zprávu ohledně zpracování PP, a prosím o informování chovatelů, pokud se budou dotazovat. Plemenná kniha v tuto chvíli nemůže zpracovávat d...
8.1.2025 | Bc. Vilemína Kracíková | 609Rada pro majitele a zájemce ČHP
Rada pro majitele a zájemce ČHP Vážení chovatelé a majitelé ČHP. Již dlouho sleduji, že se snažíte řešit vaše záležitosti okolo psů na sociálních sítích. Váš zájem o vaše mazlíčky je chválihodný, ale bylo by dobré si uvědomit, že Vaše dotazy by nejprve měli směřovat k chovateli, který je určitě schopen, a i ochoten Vám s mnoha...
26.10.2024 | Sandra Pavlasová | 967Druhy kynologických asociací v ČR
Upozornění pro zájemce o štěňata plemene Český horský pes ve vztahu k organizační struktuře kynologie v ČR Při zájmu o výběr štěňátka s rodokmenem, bude jedním z hlavních motivů zájem na něm chovat a hlásit ho na výstavy? Tento článek je důležitý nejen pro zájemce o nového člena rodiny, ale i pro prvochovatele. Popisuje struktury kynologickéh...
13.5.2024 | Ing. Ladislav Chyba | 1111Bonitace
BONITACE psů při klubové výstavě v Netolicích 23. 9. 2023 Přihlášky se zasílají prostřednictvím webových stránek klubu ČHP („můj účet“) Termín uzávěrky 18.9.2023 Autor článku: Blanka Svobodová
19.8.2023 | Blanka Svobodová | 1237Vyšetření na onemocnění - poruchy plodnosti
Jste majitelem chovné fenky/krycího psa a těšíte se na štěňata? Jistě máte vše připravené, ale jste si jistí, že Váš psí přítel je také připravený? Neriskujte se a nechte jej vyšetřit u veterinární laboratoře Scimed na nejčastější onemocnění způsobující poruchy plodnosti. Cena je zvýhodněná pro náš chovatelský klub. REPRODUKČNÍ PROFIL...
16.7.2023 | Blanka Svobodová | 2048Chcete uchovnit psa
Jste majitelem krásného psa, nebo fenky a máte chuť udělat něco pro zachování dalších budoucích generaci našeho Českého horského psa? Co vše to obnáší a co je potřeba udělat i absolvovat: Účast na klubové, nebo speciální výstavě českého horského psa Bonitace (viz. Bonitační řád klubu ČHP) DKK (rentgen na dysplazii kyčelního kloubu) U...
27.3.2023 | Blanka Svobodová | 2126Vlastníte fenku a chcete štěňata
Požádáte ČMKU (Českomoravskou kynologickou unii, Maškova 3, Praha 8-Kobylisy, www.cmku.cz) o mezinárodní uznání chovatelské stanice. Do žádosti zaznamenáte vámi zvolený název. Jelikož se tento název nesmí shodovat s názvem již jiné mezinárodně uznané stanice, do žádosti zvolíte i další náhradní názvy. Majitel chovatelské stanice musí být i majit...
27.3.2023 | Blanka Svobodová | 1839První krytí feny
První nakrytí feny Vhodná doba pro první nakrytí feny je zhruba od 2. roku života (2. – 4. hárání). Zhruba 14 dní před plánovaným krytím je velmi vhodné provést odčervení feny proti vnitřním parazitům, případně provést vakcinaci. Pokud fena nebo pes trpí jakýmkoli zdravotním problémem, je nutné navštívit veterinárního lékaře a zkonzultovat s...
27.3.2023 | Blanka Svobodová | 5226











kny9j6h
+420 602 547 689